Autoridades ancestrales de Cantel dieron a conocer su desacuerdo con el concejo municipal ante la intención de donar 70 cuerdas (39 mil 600 metros cuadrados) de terreno a solicitud del Cunoc.

Por Mirna Alvarado
Vecinos de Cantel, Quetzaltenango, no están de acuerdo con ceder 70 cuerdas (alrededor de 39 mil 600 metros cuadrados) de terreno. Sería para el Centro Universitario de Occidente (Cunoc) de la Universidad de San Carlos de Guatemala (Usac).
Quieren construir un nuevo edificio en la aldea Urbina. El alcalde Alan Cabrera y su concejo autorizaron la donación de 70.43 cuerdas. Más de lo solicitado por las autoridades universitarias.
Enriqueta Salanic, integrante de consejo ancestral, manifestó que pidieron audiencia al director y Consejo Superior Universitario para esclarecer los términos de la donación. No obtuvieron respuesta. El rechazo se debe a que el presupuesto de la Usac, a la cual pertenece el Cunoc, es de Q3 mil 500 millones. Pueden comprar un terreno sin necesidad de recurrir a una donación del patrimonio municipal.
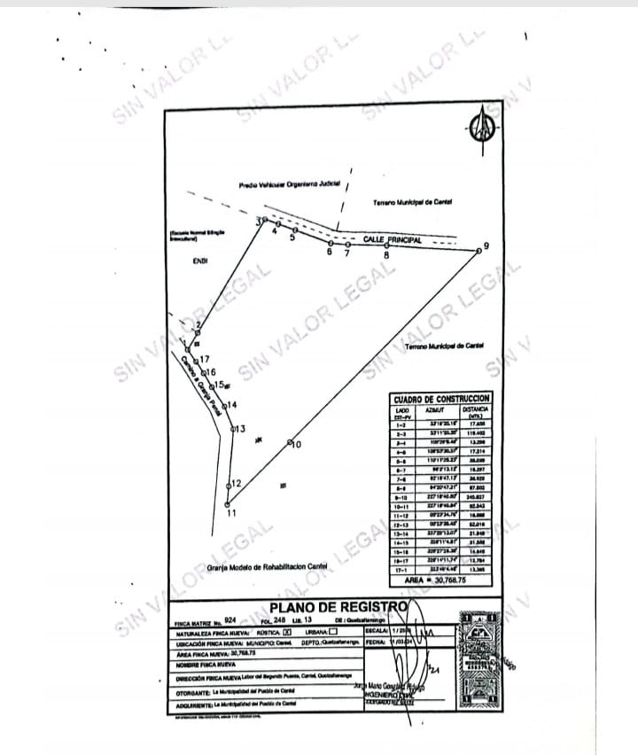
Desmembraron el terreno
Vecinos del sector conocido como Labor del Segundo Puente o Labor de Urbina, donde se encuentra el terreno en cuestión, fueron los primeros en oponerse. Acudieron al Segundo Registro de la Propiedad, donde comprobaron que la corporación municipal realizó el desmembramiento de los terrenos municipales.
“La petición del Cunoc fue realizada en marzo 2024. En abril el alcalde ya había tramitado el desmembramiento en el Segundo Registro de la Propiedad, no hubo consulta a la población y tampoco se ha explicado los términos de la donación”, dijo Salanic.
Esta no es la primera vez que el concejo tiene intenciones de donar terrenos municipales. En enero 2025 se generó una polémica similar, debido a la solicitud que hiciera el Club Xelajú Mario Camposeco para obtener un terreno en usufructo de parte de este municipio.

Te recordamos esta nota: Recolectan firmas para cerrar centro espiritual en Cantel, Quetzaltenango
El Club Xelajú MC pretendía construir un centro de alto rendimiento, un estadio mayor al que se encuentra en la cabecera departamental (Quetzaltenango). El lugar sería también la aldea Urbina.
“La Universidad tiene presupuesto suficiente para comprar su terreno, no creemos necesario que se le regale, no nos oponemos a la descentralización de la educación superior sino a los procedimientos que se utilizan”, explicó Salanic.

El alcalde Allan Cabrera consultado vía telefónica, aseguró que la intención de otorgar el inmueble en calidad de donación es la creación de parqueos municipales y otros servicios para que el municipio pueda obtener beneficios económicos. Siendo una entidad educativa no es posible cobrar un arbitrio municipal.
“Aún se analiza el expediente del CUNOC, la donación no se ha hecho efectiva”, refirió.